物件番号 100356824
美瑛町
914.6万円
新弘拓建(有)
この物件は既に成約済みです。
- 種別 / 番号
- 土地 / 100356824
- 価格
- 914.6万円 (非課税)
- 媒介報酬
- 367,818円 (税込み)
- 物件住所
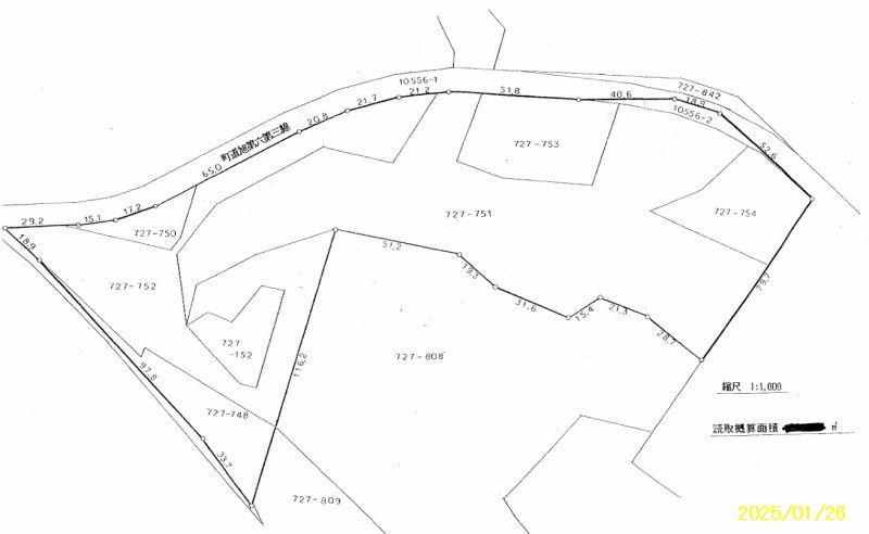
- 上川郡美瑛町旭第8 ベベツ727-751他6筆
- 土地面積
- 30236㎡ (9146.39坪)
- 建物面積
- 建蔽容積率
- 建築年月
- 地目 / 用途
- 山林・原野・保安林 / 指定無
- 間取 / 戸数
- 坪単価
- 0.1万円
- 構造
- 地積状況
- 西向き角地 間口 150m
前面道路幅 11m - 学校
- 美瑛小学校 / 美瑛中学校
- 土地環境
- 上水道、北電、プロパン
- 元付 / 取引態様
-
新弘拓建(有)
専任媒介 - 交通機関
- 西聖和停徒歩44分
- 最終更新日
- 2026-01-30 (次回予定更新3ヶ月後)
- 引渡可能日
- 契約後即引渡可能
- 備考
-
場所はここです🔜https://maps.app.goo.gl/4Mz2n41gxgfp4pn56 セブンスターの木にツナガル町道沿い、山道も町道指定上水道あります。敷地の約半分が保安林指定 沢沿いの山林
☞物件写真に境界が判りやすいように黄色のラインを入れています、参考にしてくださいね。☞ご関心がありましたら動画も見てください。案内文の最後に動画アドレス有♐ユーチューブ動画から物件案内にジャンプできます
✈土地や建物の概要や特徴を一つにまとめたファクトシートをご用意しております。ファクトシート希望の方は、↓↓下記「メール問い合わせ」ボタンからお申し込みください。他にも写真あります。
㉔時間!何時でも!動画でオープンハウス!ロケーション 🔜https://youtu.be/x1Tl4FvMZf4
画面表示時間 2026年4月29日 13時12分34秒
この物件のお問い合わせ先:
新弘拓建(有)
北海道知事免許・上川 (7) 第915号
公益社団法人北海道宅地建物取引業協会会員
一般社団法人北海道不動産公正取引協議会加盟
公益社団法人北海道宅地建物取引業協会会員
一般社団法人北海道不動産公正取引協議会加盟
※お電話でのお問い合わせ
お問い合わせの際には、IRI(アイ・アール・アイ)を見てとお伝えください。
また、掲載の物件住所と金額、物件番号などをお伝えいただくとスムーズです。
また、掲載の物件住所と金額、物件番号などをお伝えいただくとスムーズです。
※ご注意
上記表示価格は消費税込みですが、売主が課税対象外業者の媒介の場合及び土地に関しては課税対象外となります。
詳しくは取扱店にいお問い合わせください。また、取引態様の表示は、元付の取引態様です。また、建物の坪数は、物件によって変わりますので、 小数点以下四捨五入で表示しています。
詳しくは取扱店にいお問い合わせください。また、取引態様の表示は、元付の取引態様です。また、建物の坪数は、物件によって変わりますので、 小数点以下四捨五入で表示しています。