物件番号 100362584
西
1,350万円
ジェネシスクラス(株)
- 種別 / 番号
- 土地 / 100362584
- 価格
- 1,350万円 (課税対象外)
- 媒介報酬
- 511,500円 (税込み)
- 物件住所
- 旭川市6条西3丁目2‐17
- 土地面積
- 391.8㎡ (118.51坪)
- 建物面積
- 建蔽容積率
- 60% - 200%
- 建築年月
- 地目 / 用途
- 宅地 / 第2種中高層住居専用地域
- 間取 / 戸数
- 坪単価
- 11.4万円
- 構造
- 地積状況
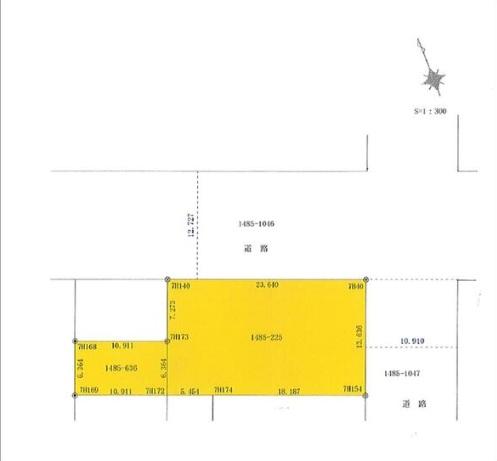
- 北東向き角地 間口 23.6m
前面道路幅 12.7m - 学校
- 新町小学校 / 中央中学校
- 土地環境
- 上下水道、都市ガス、電気
- 元付 / 取引態様
-
ジェネシスクラス(株)
一般媒介 - 交通機関
- バス 4条西4丁目停 徒歩6分
- 最終更新日
- 2025-12-09 (次回予定更新3ヶ月後)
- 引渡可能日
- 契約後即引渡可能
- 備考
-
角地で前面道路幅は北東側12.7mと南東側10.9m。
上物ありますが解体更地渡しです。
新町小学校まで徒歩3分。近隣にはスーパー、コンビニ、ドラッグストアー、回転すしもあります。
事業用地、住宅用地としても〇
画面表示時間 2026年1月25日 22時20分00秒
この物件のお問い合わせ先:
ジェネシスクラス(株)
北海道知事免許・上川 (1) 第1324号
公益社団法人北海道宅地建物取引業協会会員
一般社団法人北海道不動産公正取引協議会加盟
公益社団法人北海道宅地建物取引業協会会員
一般社団法人北海道不動産公正取引協議会加盟
※お電話でのお問い合わせ
お問い合わせの際には、IRI(アイ・アール・アイ)を見てとお伝えください。
また、掲載の物件住所と金額、物件番号などをお伝えいただくとスムーズです。
また、掲載の物件住所と金額、物件番号などをお伝えいただくとスムーズです。
※ご注意
上記表示価格は消費税込みですが、売主が課税対象外業者の媒介の場合及び土地に関しては課税対象外となります。
詳しくは取扱店にいお問い合わせください。また、取引態様の表示は、元付の取引態様です。また、建物の坪数は、物件によって変わりますので、 小数点以下四捨五入で表示しています。
詳しくは取扱店にいお問い合わせください。また、取引態様の表示は、元付の取引態様です。また、建物の坪数は、物件によって変わりますので、 小数点以下四捨五入で表示しています。