物件番号 100354332
春光
1,980万円
(有)鈴蘭ガレージ不動産
- 種別 / 番号
- 既存住宅 / 100354332
- 価格
- 1,980万円 (非課税)
- 媒介報酬
- 719,400円 (税込み)
- 物件住所
- 旭川市春光3条8丁目
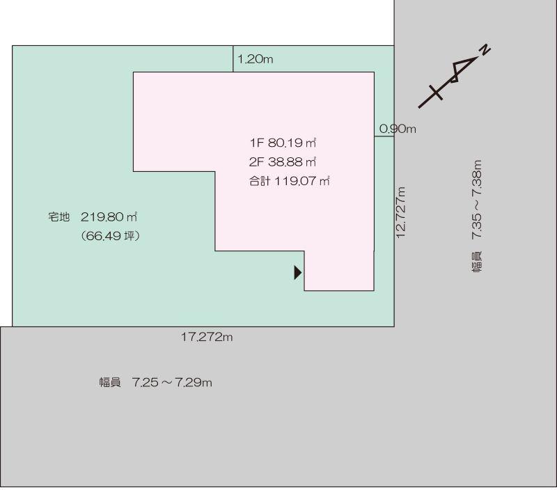
- 土地面積
- 219.8㎡ (66.48坪)
- 建物面積
- 119.07㎡ (約36坪)
- 建蔽容積率
- 60% - 200%
- 建築年月
- 1991年10月(築後 34年)
- 地目 / 用途
- 宅地 / 第1種住居地域
- 間取 / 戸数
- 5部屋3SLDK
- 坪単価
- 構造
- 木造亜鉛メッキ鋼板葺2階建
- 地積状況
- 南東向き角地 間口 17.272m
前面道路幅 7.25m - 学校
- 春光小学校 / 啓北中学校
- 土地環境
- 市上下水道、都市ガス、ほくでん
- 元付 / 取引態様
-
(有)鈴蘭ガレージ不動産
一般媒介 - 交通機関
- 旭川電気軌道 春光4-7バス停 徒歩3分
- 最終更新日
- 2025-10-15 (次回予定更新3ヶ月後)
- 引渡可能日
- 契約後即引渡可能
- 備考
-
* 何といっても、MEGAドン・キホーテ、ダイイチスーパー、無印食品...ちょっと先にはDCMホーマックやニトリ、ヤマダデンキアウトレットなどお買い物に便利なお店がたくさんあります。
* 駐車スペースが広いので、たくさん駐車可能です。
* ほとんどフルリフォームしていますので、新築同然! 2階には広いフリースペースもあり、開放感たっぷり!キッチン、洗面台、トイレ、お風呂など水回り新品に交換。暖房は「エコジョーズ」でどの部屋も暖か。24時間換気で快適です!
* 1階和室には雪見窓もあり、新しさの中に風情もあります。
画面表示時間 2025年10月16日 14時19分56秒
この物件のお問い合わせ先:
(有)鈴蘭ガレージ不動産
北海道知事免許・上川 (4) 第1081号
公益社団法人北海道宅地建物取引業協会会員
一般社団法人北海道不動産公正取引協議会加盟
公益社団法人北海道宅地建物取引業協会会員
一般社団法人北海道不動産公正取引協議会加盟
※お電話でのお問い合わせ
お問い合わせの際には、IRI(アイ・アール・アイ)を見てとお伝えください。
また、掲載の物件住所と金額、物件番号などをお伝えいただくとスムーズです。
また、掲載の物件住所と金額、物件番号などをお伝えいただくとスムーズです。
※ご注意
上記表示価格は消費税込みですが、売主が課税対象外業者の媒介の場合及び土地に関しては課税対象外となります。
詳しくは取扱店にいお問い合わせください。また、取引態様の表示は、元付の取引態様です。また、建物の坪数は、物件によって変わりますので、 小数点以下四捨五入で表示しています。
詳しくは取扱店にいお問い合わせください。また、取引態様の表示は、元付の取引態様です。また、建物の坪数は、物件によって変わりますので、 小数点以下四捨五入で表示しています。